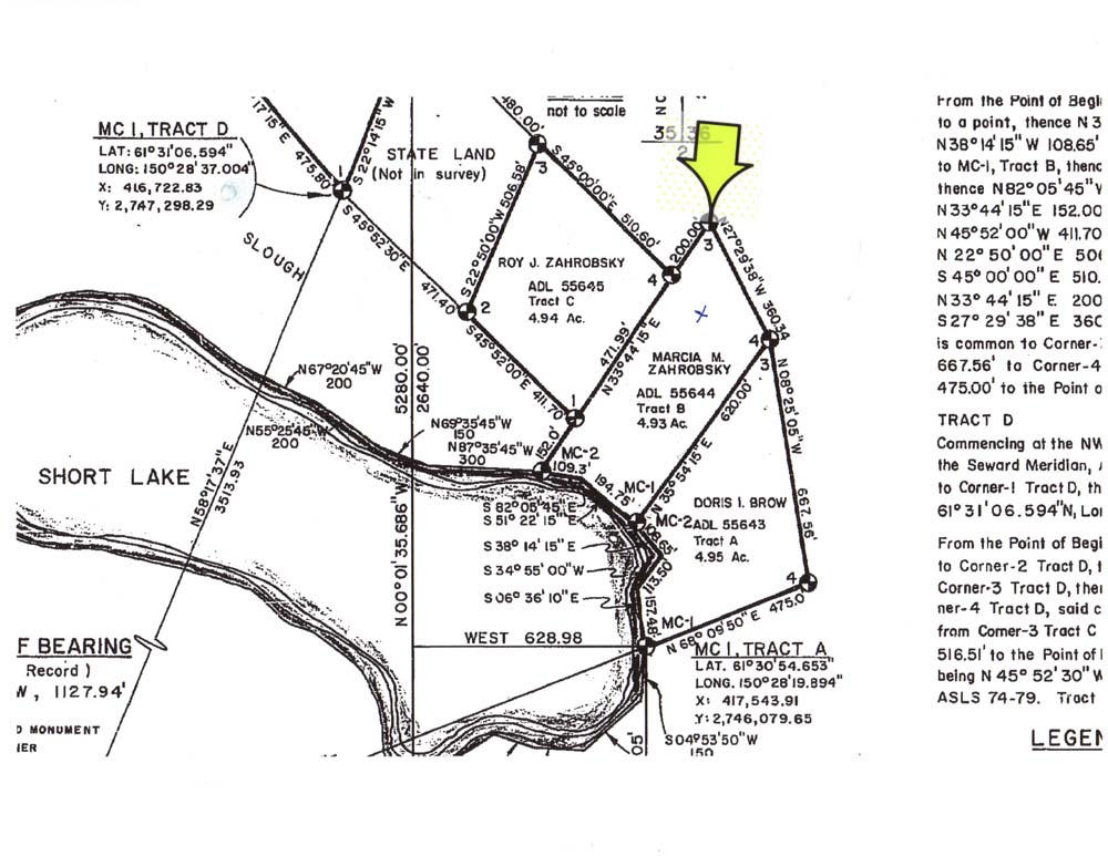
plat2