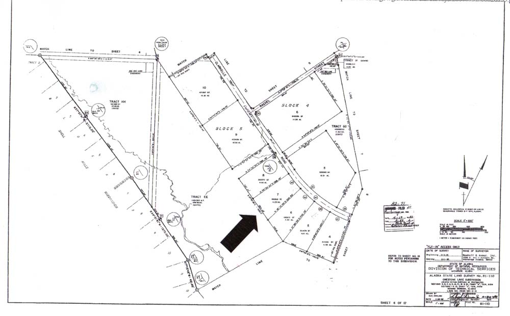
plat 2