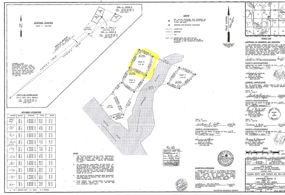
plat